

¸»Á¤º¸ > °³º°¸»Á¤º¸Á¶È¸ > °³Ã¼½Äº°
![]() |
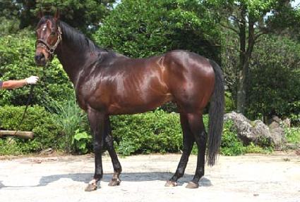
¸¶¹ø | 0029176 | ||
|---|---|---|---|---|
| ¸¶¸í | µ¨¶ó°íºê·Ò | |||
| »ý»ê±¹ | È£ÁÖ | |||
| Ãâ»ýÀÏ | 1999-11-02 | |||
| ¼ºº°/Åлö | ¼ö / °¥»ö | |||
| Ç÷Åëµî·ÏÀÏ | ||||
| »ý»êÀÚ | Mrs H Hoffelner, Mrs H Hoffelner | |||
| ¼ÒÀ¯ÀÚ | ||||
| ¼ÒÀçÁö | () | |||
| °¡°è | ºÎ¸¶ | ENCOSTA DE LAGO (AUS) 1993 | Á¶ºÎ | FAIRY KING |
| ¸ð¸¶ | BROMPTON CROSS (AUS) 1990 | ¿ÜÁ¶ºÎ | EL QAHIRA | |
| Ư¡ | ¸Ó¸® | À̸¶°¡¸¶»ó,À¯¼º,À̸¶»õÄ¡,ºñ·®»õÄ¡,ºñ»õÄ¡ | ||
| ¸ñ | ¿ì°¥±â°¡¸¶2,¿ì¸ñ¹Ø°¡¸¶ | |||
| ´Ù¸® | ÁÂÀü¹é,¿ìÀü¹é,¿ìÈĹݹé,Áµ޴ٸ®°¡¸¶,¿ìÈÄÁö»õÄ¡ | |||
| ¸öÅë | ||||
| ±âŸ | ||||
| ³«ÀÎ | ||||
| Ĩ | 410-0978-0003-8360 | |||
