

¸»Á¤º¸ > °³º°¸»Á¤º¸Á¶È¸ > °³Ã¼½Äº°
![]() |
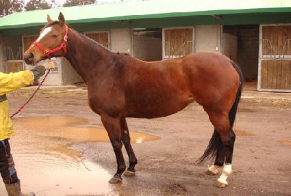
¸¶¹ø | 0030875 | ||
|---|---|---|---|---|
| ¸¶¸í | ½Ç¹öÆÄ¿îƾ | |||
| »ý»ê±¹ | ¹Ì±¹ | |||
| Ãâ»ýÀÏ | 2004-01-28 | |||
| ¼ºº°/Åлö | ¾Ï / Èæ°¥»ö | |||
| Ç÷Åëµî·ÏÀÏ | ||||
| »ý»êÀÚ | Buckram Oak Farm | |||
| ¼ÒÀ¯ÀÚ | ||||
| ¼ÒÀçÁö | () | |||
| °¡°è | ºÎ¸¶ | FOREST WILDCAT (USA) 1991 | Á¶ºÎ | STORM CAT |
| ¸ð¸¶ | CORDOBA (USA) 1999 | ¿ÜÁ¶ºÎ | UNBRIDLED | |
| Ư¡ | ¸Ó¸® | À̸¶°¡¸¶3(¼¼·Î),À¯¼º,ºñ·®¹é | ||
| ¸ñ | ||||
| ´Ù¸® | ÁÂÈÄÀå¹é,¿ìÈĹé | |||
| ¸öÅë | ||||
| ±âŸ | ||||
| ³«ÀÎ | (±âŸ) ÀÔ¼ú¹®½Å -0104- | |||
| Ĩ | 410-0978-0004-3856 | |||
