

¸»Á¤º¸ > °³º°¸»Á¤º¸Á¶È¸ > °³Ã¼½Äº°
![]() |
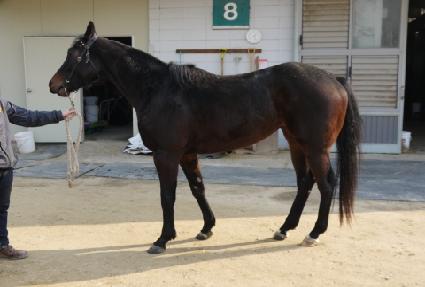
¸¶¹ø | 0036151 | ||
|---|---|---|---|---|
| ¸¶¸í | ÄËÅÍŰ·¯¹ö | |||
| »ý»ê±¹ | Çѱ¹ | |||
| Ãâ»ýÀÏ | 2014-04-25 | |||
| ¼ºº°/Åлö | ¾Ï / °¥»ö | |||
| Ç÷Åëµî·ÏÀÏ | 2015-05-08 | |||
| »ý»êÀÚ | ÃÖÀå¼® (104060) | |||
| ¼ÒÀ¯ÀÚ | ||||
| ¼ÒÀçÁö | () | |||
| °¡°è | ºÎ¸¶ | ¸Þ´ÏÇÇ (USA) 1996 | Á¶ºÎ | HARLAN |
| ¸ð¸¶ | ¾ÆÆ¼½ºÆ® (KOR) 2007 | ¿ÜÁ¶ºÎ | APTITUDE | |
| Ư¡ | ¸Ó¸® | À̸¶°¡¸¶Áß | ||
| ¸ñ | ±ä¸ñÁÙ°¡¸¶,Á¿찥±â°¡¸¶ | |||
| ´Ù¸® | Á¾մٸ®°¡¸¶ / ¿ì¾Õ´Ù¸®°¡¸¶ / ÁÂÈĹé / ¿ìÈĹݹé | |||
| ¸öÅë | ||||
| ±âŸ | ||||
| ³«ÀÎ | ||||
| Ĩ | 410-1000-1231-8904 | |||
