

¸»Á¤º¸ > °³º°¸»Á¤º¸Á¶È¸ > °³Ã¼½Äº°
![]() |
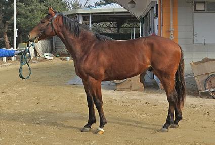
¸¶¹ø | 0054792 | ||
|---|---|---|---|---|
| ¸¶¸í | ¿ëºñÈ÷¾î·Î | |||
| »ý»ê±¹ | ¹Ì±¹ | |||
| Ãâ»ýÀÏ | 2022-01-26 | |||
| ¼ºº°/Åлö | ¼ö / °¥»ö | |||
| Ç÷Åëµî·ÏÀÏ | ||||
| »ý»êÀÚ | Brandywine Farm (Jim&Pan Robinson) | |||
| ¼ÒÀ¯ÀÚ | Á¤¼ºÁø (122013) | |||
| ¼ÒÀçÁö | È«´ëÀ¯ (6Á¶) | |||
| °¡°è | ºÎ¸¶ | GOLDENCENTS (USA) 2010 | Á¶ºÎ | INTO MISCHIEF |
| ¸ð¸¶ | MOCHI (USA) 2016 | ¿ÜÁ¶ºÎ | STREET BOSS | |
| Ư¡ | ¸Ó¸® | À̸¶°¡¸¶»ó, °îÀ¯¼º, ´Üºñ¼Ò¹é2 | ||
| ¸ñ | ¿ì°¥±â°¡¸¶, ¸ñÁÙ°¡¸¶ | |||
| ´Ù¸® | ÁÂÀü¹é / ÁÂÈĹݹé / ¿ìÈļҹé | |||
| ¸öÅë | ||||
| ±âŸ | ||||
| ³«ÀÎ | ||||
| Ĩ | 981-0200-4513-9974 | |||
