

¸»Á¤º¸ > °³º°¸»Á¤º¸Á¶È¸ > °³Ã¼½Äº°
![]() |
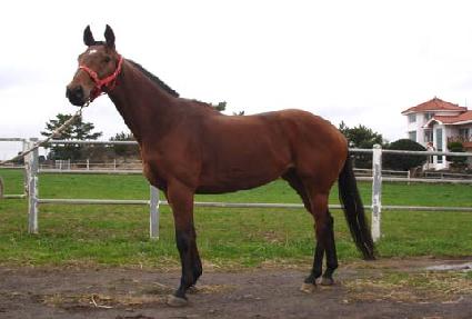
¸¶¹ø | 0013276 | ||
|---|---|---|---|---|
| ¸¶¸í | ·ç³ª | |||
| »ý»ê±¹ | Çѱ¹ | |||
| Ãâ»ýÀÏ | 2001-05-01 | |||
| ¼ºº°/Åлö | ¾Ï / °¥»ö | |||
| Ç÷Åëµî·ÏÀÏ | 2002-07-04 | |||
| »ý»êÀÚ | ±èÈ£¸¸ (065076) | |||
| ¼ÒÀ¯ÀÚ | ||||
| ¼ÒÀçÁö | () | |||
| °¡°è | ºÎ¸¶ | ÄÁ¼ÁÆ®À© (USA) 1990 | Á¶ºÎ | MANILA |
| ¸ð¸¶ | ¿ì¼öÇØ (IRE) 1991 | ¿ÜÁ¶ºÎ | EXACTLY SHARP | |
| Ư¡ | ¸Ó¸® | À̸¶°¡¸¶2(°¡·Î),À¯¼º | ||
| ¸ñ | Á°¥±â°¡¸¶2,¿ì°¥±â°¡¸¶ | |||
| ´Ù¸® | ¿ìÀü¹Ý¹é | |||
| ¸öÅë | ||||
| ±âŸ | ||||
| ³«ÀÎ | ||||
| Ĩ | 00-0638-21DF | |||
