

¸»Á¤º¸ > °³º°¸»Á¤º¸Á¶È¸ > °³Ã¼½Äº°
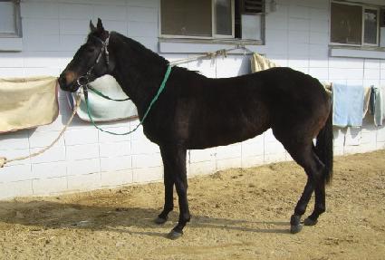
![]() |
¸¶¹ø | 0015575 | ||
|---|---|---|---|---|
| ¸¶¸í | ¿Õ²É | |||
| »ý»ê±¹ | Çѱ¹ | |||
| Ãâ»ýÀÏ | 2003-04-05 | |||
| ¼ºº°/Åлö | ¾Ï / Èæ°¥»ö | |||
| Ç÷Åëµî·ÏÀÏ | 2004-07-11 | |||
| »ý»êÀÚ | °íâÇù (065010) | |||
| ¼ÒÀ¯ÀÚ | ||||
| ¼ÒÀçÁö | () | |||
| °¡°è | ºÎ¸¶ | ·Î½ºÆ®¸¶¿îƾ (USA) 1988 | Á¶ºÎ | COX'S RIDGE |
| ¸ð¸¶ | °ü·Ï (AUS) 1991 | ¿ÜÁ¶ºÎ | AMEN BROTHER | |
| Ư¡ | ¸Ó¸® | À̸¶°¡¸¶2(°¡·Î),À¯¼º | ||
| ¸ñ | ¿ì°¥±â°¡¸¶ | |||
| ´Ù¸® | ||||
| ¸öÅë | ¸öÅë»õÄ¡ | |||
| ±âŸ | ||||
| ³«ÀÎ | ||||
| Ĩ | 00-0673-6E66 | |||
