

¸»Á¤º¸ > °³º°¸»Á¤º¸Á¶È¸ > °³Ã¼½Äº°
![]() |
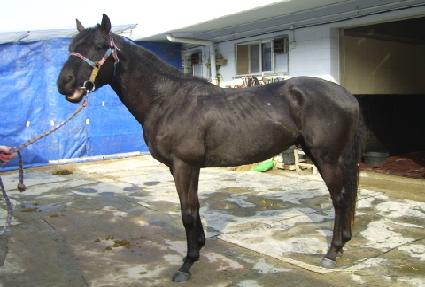
¸¶¹ø | 0015712 | ||
|---|---|---|---|---|
| ¸¶¸í | ¸¶Ãʽº¸¶ÀÏ | |||
| »ý»ê±¹ | Çѱ¹ | |||
| Ãâ»ýÀÏ | 2003-05-17 | |||
| ¼ºº°/Åлö | ¼ö / Èæ°¥»ö | |||
| Ç÷Åëµî·ÏÀÏ | 2004-07-11 | |||
| »ý»êÀÚ | ±èº´Çö (010225) | |||
| ¼ÒÀ¯ÀÚ | ||||
| ¼ÒÀçÁö | () | |||
| °¡°è | ºÎ¸¶ | ÄÁ¼ÁÆ®À© (USA) 1990 | Á¶ºÎ | MANILA |
| ¸ð¸¶ | Á¶Áö¾ÆÄÜ (USA) 1989 | ¿ÜÁ¶ºÎ | CHAS CONERLY | |
| Ư¡ | ¸Ó¸® | À̸¶°¡¸¶2(°¡·Î),À̸¶»õÄ¡ | ||
| ¸ñ | ±ä¸ñÁÙ°¡¸¶,¸ñÁÙ°¡¸¶ | |||
| ´Ù¸® | Á¿ì¾Õ´Ù¸®°¡¸¶ | |||
| ¸öÅë | ¸öÅë»õÄ¡ | |||
| ±âŸ | ||||
| ³«ÀÎ | ||||
| Ĩ | 00-0673-944A | |||
