

¸»Á¤º¸ > °³º°¸»Á¤º¸Á¶È¸ > °³Ã¼½Äº°
![]() |
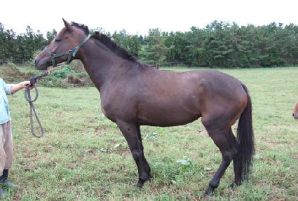
¸¶¹ø | 0015798 | ||
|---|---|---|---|---|
| ¸¶¸í | ºÀ½ÃÈ¹ß | |||
| »ý»ê±¹ | Çѱ¹ | |||
| Ãâ»ýÀÏ | 2003-04-05 | |||
| ¼ºº°/Åлö | ¾Ï / Èæ°¥»ö | |||
| Ç÷Åëµî·ÏÀÏ | 2004-07-11 | |||
| »ý»êÀÚ | ±è¿ë·¡ (065012) | |||
| ¼ÒÀ¯ÀÚ | ||||
| ¼ÒÀçÁö | () | |||
| °¡°è | ºÎ¸¶ | ¾ÆÃ³½ÃƼ½½·ç (USA) 1997 | Á¶ºÎ | SLEW CITY SLEW |
| ¸ð¸¶ | ¾Æ±¸¾Æ¾ÆÁÙ¸®Å¸ (USA) 1995 | ¿ÜÁ¶ºÎ | PINE BLUFF | |
| Ư¡ | ¸Ó¸® | À̸¶°¡¸¶Áß,¼º | ||
| ¸ñ | Á¿찥±â°¡¸¶ | |||
| ´Ù¸® | ÁÂÈļҹé | |||
| ¸öÅë | ||||
| ±âŸ | ||||
| ³«ÀÎ | ||||
| Ĩ | 00-0664-42AB | |||
