

¸»Á¤º¸ > °³º°¸»Á¤º¸Á¶È¸ > °³Ã¼½Äº°
![]() |
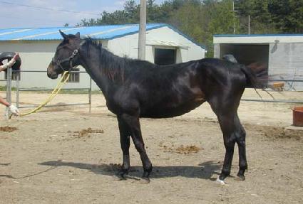
¸¶¹ø | 0016204 | ||
|---|---|---|---|---|
| ¸¶¸í | À£ÄÄÅõ | |||
| »ý»ê±¹ | Çѱ¹ | |||
| Ãâ»ýÀÏ | 2003-05-15 | |||
| ¼ºº°/Åлö | ¾Ï / Èæ°¥»ö | |||
| Ç÷Åëµî·ÏÀÏ | 2004-07-11 | |||
| »ý»êÀÚ | ÀÌÃæ¼· (065148) | |||
| ¼ÒÀ¯ÀÚ | ||||
| ¼ÒÀçÁö | () | |||
| °¡°è | ºÎ¸¶ | ÄÚ·¯³×À̼ǵ¥ÀÌ (AUS) 1989 | Á¶ºÎ | BLETCHINGLY |
| ¸ð¸¶ | ´ëÄ¡ (AUS) 1993 | ¿ÜÁ¶ºÎ | PAG ASA | |
| Ư¡ | ¸Ó¸® | À̸¶°¡¸¶2(»ç¼±),À¯¼º | ||
| ¸ñ | ±ä¸ñÁÙ°¡¸¶ | |||
| ´Ù¸® | Á¾մٸ®°¡¸¶,¿ì¾Õ´Ù¸®°¡¸¶,ÁÂÈĹé | |||
| ¸öÅë | ||||
| ±âŸ | ||||
| ³«ÀÎ | ||||
| Ĩ | 00-0671-7D4A | |||
