

¸»Á¤º¸ > °³º°¸»Á¤º¸Á¶È¸ > °³Ã¼½Äº°
![]() |
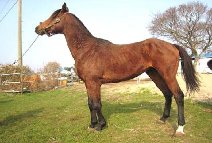
¸¶¹ø | 0016233 | ||
|---|---|---|---|---|
| ¸¶¸í | ¹é·ÏÁ¤ | |||
| »ý»ê±¹ | Çѱ¹ | |||
| Ãâ»ýÀÏ | 2003-03-25 | |||
| ¼ºº°/Åлö | ¼ö / °¥»ö | |||
| Ç÷Åëµî·ÏÀÏ | 2004-07-11 | |||
| »ý»êÀÚ | ÀÓ»óÀ± (065025) | |||
| ¼ÒÀ¯ÀÚ | ||||
| ¼ÒÀçÁö | () | |||
| °¡°è | ºÎ¸¶ | ½½·ç¿À±×¸° (JPN) 1994 | Á¶ºÎ | SEATTLE SLEW |
| ¸ð¸¶ | ·¿¼ö·± (USA) 1994 | ¿ÜÁ¶ºÎ | PROPER REALITY | |
| Ư¡ | ¸Ó¸® | À̸¶°¡¸¶2(°¡·Î),¼ÒÀ¯¼º,À̸¶»õÄ¡ | ||
| ¸ñ | ¸ñÁÙ°¡¸¶ | |||
| ´Ù¸® | ÁÂÀü¼Ò¹é,¿ìÀü¹Ý¹é,ÁÂÈĹé,Á¾մٸ®°¡¸¶ | |||
| ¸öÅë | ||||
| ±âŸ | ||||
| ³«ÀÎ | ||||
| Ĩ | 00-0664-EDE3 | |||
