

¸»Á¤º¸ > °³º°¸»Á¤º¸Á¶È¸ > °³Ã¼½Äº°
![]() |
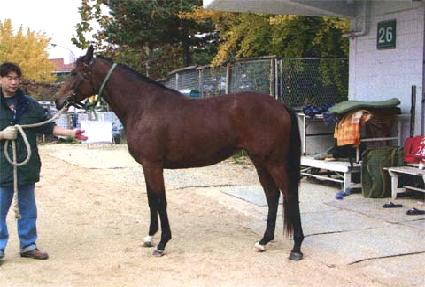
¸¶¹ø | 0016316 | ||
|---|---|---|---|---|
| ¸¶¸í | ¹«Àû±º´Ü | |||
| »ý»ê±¹ | Çѱ¹ | |||
| Ãâ»ýÀÏ | 2003-04-06 | |||
| ¼ºº°/Åлö | ¾Ï / °¥»ö | |||
| Ç÷Åëµî·ÏÀÏ | 2004-07-11 | |||
| »ý»êÀÚ | Á¤À¾Ãà»ê¾÷Çùµ¿Á¶ÇÕ (065075) | |||
| ¼ÒÀ¯ÀÚ | ||||
| ¼ÒÀçÁö | () | |||
| °¡°è | ºÎ¸¶ | ¸®ºñ¾î (IRE) 1990 | Á¶ºÎ | DANCING BRAVE |
| ¸ð¸¶ | ¹öÅͳ´ (USA) 1991 | ¿ÜÁ¶ºÎ | ASK ME | |
| Ư¡ | ¸Ó¸® | À̸¶°¡¸¶2(°¡·Î),À¯¼º | ||
| ¸ñ | ¸ñ¹Ø°¡¸¶,¸ñÁÙ°¡¸¶ | |||
| ´Ù¸® | ÁÂÀü¹Ý¹é,¿ìÀü¹é,¿ìÈĹé | |||
| ¸öÅë | ||||
| ±âŸ | ||||
| ³«ÀÎ | ||||
| Ĩ | 00-0673-A09C | |||
