

¸»Á¤º¸ > °³º°¸»Á¤º¸Á¶È¸ > °³Ã¼½Äº°
![]() |
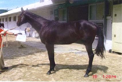
¸¶¹ø | 0016456 | ||
|---|---|---|---|---|
| ¸¶¸í | ¿ÍÀϵå·çºñ | |||
| »ý»ê±¹ | Çѱ¹ | |||
| Ãâ»ýÀÏ | 2003-05-24 | |||
| ¼ºº°/Åлö | °Å / Èæ°¥»ö | |||
| Ç÷Åëµî·ÏÀÏ | 2004-07-11 | |||
| »ý»êÀÚ | Æä°¡¼ö½º (065127) | |||
| ¼ÒÀ¯ÀÚ | ||||
| ¼ÒÀçÁö | () | |||
| °¡°è | ºÎ¸¶ | WILD WONDER (USA) 1994 | Á¶ºÎ | WILD AGAIN |
| ¸ð¸¶ | ·çºñÁîÅÒÁî (USA) 1996 | ¿ÜÁ¶ºÎ | PRIVATE TERMS | |
| Ư¡ | ¸Ó¸® | À̸¶°¡¸¶Áß | ||
| ¸ñ | Á¿찥±â°¡¸¶, ¸ñ¹Ø°¡¸¶ | |||
| ´Ù¸® | ||||
| ¸öÅë | ||||
| ±âŸ | ||||
| ³«ÀÎ | ||||
| Ĩ | 00-0675-74C6 | |||
