

¸»Á¤º¸ > °³º°¸»Á¤º¸Á¶È¸ > °³Ã¼½Äº°
![]() |
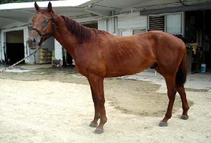
¸¶¹ø | 0017087 | ||
|---|---|---|---|---|
| ¸¶¸í | ½Âõ | |||
| »ý»ê±¹ | Çѱ¹ | |||
| Ãâ»ýÀÏ | 2004-05-09 | |||
| ¼ºº°/Åлö | °Å / ¹ã»ö | |||
| Ç÷Åëµî·ÏÀÏ | 2005-08-31 | |||
| »ý»êÀÚ | °È«¼ö (010424) | |||
| ¼ÒÀ¯ÀÚ | ||||
| ¼ÒÀçÁö | () | |||
| °¡°è | ºÎ¸¶ | »çÀÏ·±Æ®¿ö¸®¾î (IRE) 1992 | Á¶ºÎ | NASHWAN |
| ¸ð¸¶ | ¾î¸°½ºÆÒ½ÃÇÇÆ® (USA) 1989 | ¿ÜÁ¶ºÎ | GRENFALL | |
| Ư¡ | ¸Ó¸® | À̸¶°¡¸¶ÇÏ | ||
| ¸ñ | ¿ì°¥±â°¡¸¶ | |||
| ´Ù¸® | Á¿ì¾Õ´Ù¸®°¡¸¶ | |||
| ¸öÅë | ||||
| ±âŸ | ||||
| ³«ÀÎ | ||||
| Ĩ | 410-0978-0000-3215 | |||
