

¸»Á¤º¸ > °³º°¸»Á¤º¸Á¶È¸ > °³Ã¼½Äº°
![]() |
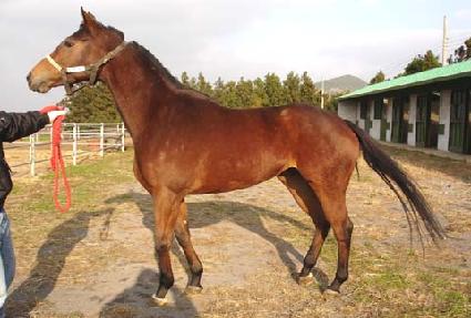
¸¶¹ø | 0017310 | ||
|---|---|---|---|---|
| ¸¶¸í | À§±× | |||
| »ý»ê±¹ | Çѱ¹ | |||
| Ãâ»ýÀÏ | 2004-05-08 | |||
| ¼ºº°/Åлö | ¾Ï / °¥»ö | |||
| Ç÷Åëµî·ÏÀÏ | 2005-08-31 | |||
| »ý»êÀÚ | ±è¼ø°Ç (065045) | |||
| ¼ÒÀ¯ÀÚ | ||||
| ¼ÒÀçÁö | () | |||
| °¡°è | ºÎ¸¶ | ÇØÇǰÁî¹êµå (USA) 1988 | Á¶ºÎ | DIXIELAND BAND |
| ¸ð¸¶ | ¶óƾ´íÀÚ¸®³ª (USA) 1989 | ¿ÜÁ¶ºÎ | EVARISTO | |
| Ư¡ | ¸Ó¸® | À̸¶°¡¸¶Áß,³À¯¼º | ||
| ¸ñ | Á¿찥±â°¡¸¶,±ä¸ñÁÙ°¡¸¶ | |||
| ´Ù¸® | ÁÂÀü¹é,¿ìÈļҹé | |||
| ¸öÅë | ||||
| ±âŸ | À̸¶µ¹Ãâ | |||
| ³«ÀÎ | ||||
| Ĩ | 00-0662-ED99 | |||
