

¸»Á¤º¸ > °³º°¸»Á¤º¸Á¶È¸ > °³Ã¼½Äº°
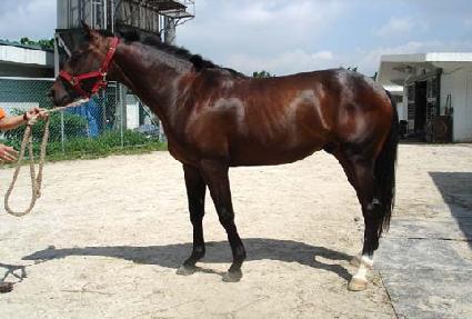
![]() |
¸¶¹ø | 0017779 | ||
|---|---|---|---|---|
| ¸¶¸í | ½Å³ª´Â¼¼»ó | |||
| »ý»ê±¹ | Çѱ¹ | |||
| Ãâ»ýÀÏ | 2004-04-10 | |||
| ¼ºº°/Åлö | °Å / °¥»ö | |||
| Ç÷Åëµî·ÏÀÏ | 2005-08-31 | |||
| »ý»êÀÚ | ÀÌÁ¾¿í (065133) | |||
| ¼ÒÀ¯ÀÚ | ||||
| ¼ÒÀçÁö | () | |||
| °¡°è | ºÎ¸¶ | ´õ±×·ëÀÌÁî·¹µå (USA) 1996 | Á¶ºÎ | RUNAWAY GROOM |
| ¸ð¸¶ | Çì¹ÐÅæ½ºÇǵå (NZ) 1988 | ¿ÜÁ¶ºÎ | ENGAGEMENT | |
| Ư¡ | ¸Ó¸® | À̸¶°¡¸¶Áß,À̸¶»õÄ¡ | ||
| ¸ñ | ¸ñ¹Ø°¡¸¶ | |||
| ´Ù¸® | ÁÂÀü¼Ò¹é,ÁÂÈĹé,¿ìÈĹé | |||
| ¸öÅë | ||||
| ±âŸ | ||||
| ³«ÀÎ | ||||
| Ĩ | 410-0978-0001-5042 | |||
