

¸»Á¤º¸ > °³º°¸»Á¤º¸Á¶È¸ > °³Ã¼½Äº°
![]() |
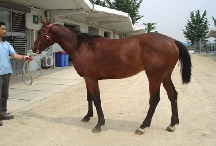
¸¶¹ø | 0018073 | ||
|---|---|---|---|---|
| ¸¶¸í | ¸®Æ²ÆßÇÁŲ | |||
| »ý»ê±¹ | Çѱ¹ | |||
| Ãâ»ýÀÏ | 2004-04-16 | |||
| ¼ºº°/Åлö | °Å / °¥»ö | |||
| Ç÷Åëµî·ÏÀÏ | 2005-08-31 | |||
| »ý»êÀÚ | È«»óÁø (065138) | |||
| ¼ÒÀ¯ÀÚ | ||||
| ¼ÒÀçÁö | () | |||
| °¡°è | ºÎ¸¶ | Æ÷Æ®½ºÅåÅÏ (USA) 1992 | Á¶ºÎ | CURE THE BLUES |
| ¸ð¸¶ | ¾È°ñ¼Û (KOR) 1994 | ¿ÜÁ¶ºÎ | ±Û·Î¸®ÈÀÌ | |
| Ư¡ | ¸Ó¸® | À̸¶°¡¸¶Áß,³À¯¼º,ºñ·®»õÄ¡,´Üºñ·®¼¼¹é,ÄھȻõÄ¡(ÁÂ) | ||
| ¸ñ | Á¿찥±â°¡¸¶,¸ñ¹Ø¹é¹Ý | |||
| ´Ù¸® | ÁÂÈĹé,¿ìÈĹé | |||
| ¸öÅë | ||||
| ±âŸ | ||||
| ³«ÀÎ | ||||
| Ĩ | 410-0978-0002-7754 | |||
