

¸»Á¤º¸ > °³º°¸»Á¤º¸Á¶È¸ > °³Ã¼½Äº°
![]() |
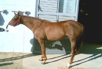
¸¶¹ø | 0018169 | ||
|---|---|---|---|---|
| ¸¶¸í | ±Ý¼º»ê | |||
| »ý»ê±¹ | ´ºÁú·£µå | |||
| Ãâ»ýÀÏ | 2002-10-19 | |||
| ¼ºº°/Åлö | °Å / ¹ã»ö | |||
| Ç÷Åëµî·ÏÀÏ | ||||
| »ý»êÀÚ | Curraghmore Stud Ltd | |||
| ¼ÒÀ¯ÀÚ | ||||
| ¼ÒÀçÁö | () | |||
| °¡°è | ºÎ¸¶ | DAGGERS DRAWN (USA) 1995 | Á¶ºÎ | DIESIS |
| ¸ð¸¶ | LIGHTNING BLACK (AUS) 1988 | ¿ÜÁ¶ºÎ | BLACK ZEPHYR | |
| Ư¡ | ¸Ó¸® | À̸¶°¡¸¶Áß,À¯¼º,ºñ·®¹é,ºñ·®´ë¹é,ºñ´ë¹é | ||
| ¸ñ | ||||
| ´Ù¸® | Á¿ìÈĹé | |||
| ¸öÅë | ||||
| ±âŸ | Á¿ì°í·¡´« | |||
| ³«ÀÎ | (ÁÂ) Cn (¿ì) 68/2 | |||
| Ĩ | 00-0664-D93C | |||
