

¸»Á¤º¸ > °³º°¸»Á¤º¸Á¶È¸ > °³Ã¼½Äº°
![]() |
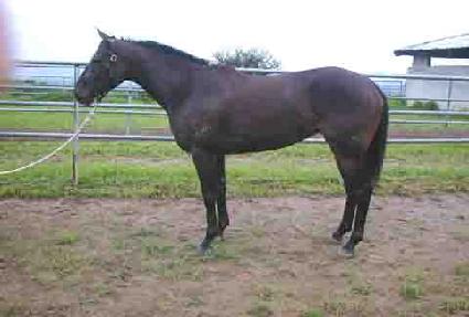
¸¶¹ø | 0018580 | ||
|---|---|---|---|---|
| ¸¶¸í | ½Å°Å¸ | |||
| »ý»ê±¹ | È£ÁÖ | |||
| Ãâ»ýÀÏ | 2003-09-04 | |||
| ¼ºº°/Åлö | ¾Ï / Èæ°¥»ö | |||
| Ç÷Åëµî·ÏÀÏ | ||||
| »ý»êÀÚ | Mr JW Burke | |||
| ¼ÒÀ¯ÀÚ | ||||
| ¼ÒÀçÁö | () | |||
| °¡°è | ºÎ¸¶ | BITE THE BULLET (USA) 1987 | Á¶ºÎ | SPECTACULAR BID |
| ¸ð¸¶ | FIONA'S GIFT (NZ) 1994 | ¿ÜÁ¶ºÎ | CLASSIC FAME | |
| Ư¡ | ¸Ó¸® | À̸¶°¡¸¶Áß | ||
| ¸ñ | ¿ì°¥±â°¡¸¶ | |||
| ´Ù¸® | ||||
| ¸öÅë | ||||
| ±âŸ | ||||
| ³«ÀÎ | (ÁÂ) - ¹Ø¿¡ T; J; ´©¿î 8 (¿ì) 3/3 | |||
| Ĩ | 985-1000-1078-2490 | |||
