

¸»Á¤º¸ > °³º°¸»Á¤º¸Á¶È¸ > °³Ã¼½Äº°
![]() |
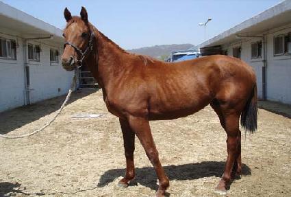
¸¶¹ø | 0018743 | ||
|---|---|---|---|---|
| ¸¶¸í | ½ºÅ¸¹®È | |||
| »ý»ê±¹ | ¹Ì±¹ | |||
| Ãâ»ýÀÏ | 2004-04-09 | |||
| ¼ºº°/Åлö | ¼ö / ¹ã»ö | |||
| Ç÷Åëµî·ÏÀÏ | ||||
| »ý»êÀÚ | Wm.D.Fishback & Dave Fishback | |||
| ¼ÒÀ¯ÀÚ | ||||
| ¼ÒÀçÁö | () | |||
| °¡°è | ºÎ¸¶ | BANKER'S GOLD (USA) 1994 | Á¶ºÎ | FORTY NINER |
| ¸ð¸¶ | AT BREAKNECK SPEED (USA) 1991 | ¿ÜÁ¶ºÎ | GOLDEN ACT | |
| Ư¡ | ¸Ó¸® | À̸¶°¡¸¶»ó | ||
| ¸ñ | Á¿찥±â°¡¸¶ | |||
| ´Ù¸® | ¿ìÈÄ»õÄ¡ | |||
| ¸öÅë | Á¿ìÇ㱸¸®°¡¸¶ | |||
| ±âŸ | ||||
| ³«ÀÎ | ||||
| Ĩ | 00-0673-05E2 | |||
