

¸»Á¤º¸ > °³º°¸»Á¤º¸Á¶È¸ > °³Ã¼½Äº°
![]() |
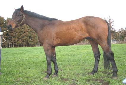
¸¶¹ø | 0018986 | ||
|---|---|---|---|---|
| ¸¶¸í | ·¹ÀθÞÀÌÄ¿ | |||
| »ý»ê±¹ | Çѱ¹ | |||
| Ãâ»ýÀÏ | 2005-03-05 | |||
| ¼ºº°/Åлö | ¼ö / °¥»ö | |||
| Ç÷Åëµî·ÏÀÏ | 2006-08-12 | |||
| »ý»êÀÚ | °í°æÇÊ (065131) | |||
| ¼ÒÀ¯ÀÚ | ||||
| ¼ÒÀçÁö | () | |||
| °¡°è | ºÎ¸¶ | ¸®ºñ¾î (IRE) 1990 | Á¶ºÎ | DANCING BRAVE |
| ¸ð¸¶ | ¿Ï´õ¸µÄÉÀÌÆ¼ (USA) 1997 | ¿ÜÁ¶ºÎ | TEJANO | |
| Ư¡ | ¸Ó¸® | À̸¶°¡¸¶Áß | ||
| ¸ñ | ¸ñÁÙ°¡¸¶ | |||
| ´Ù¸® | Á¿ìµÞ´Ù¸®°¡¸¶ | |||
| ¸öÅë | Á¿쿷±¸¸®°¡¸¶ | |||
| ±âŸ | ||||
| ³«ÀÎ | ||||
| Ĩ | 00-0665-A83A | |||
