

¸»Á¤º¸ > °³º°¸»Á¤º¸Á¶È¸ > °³Ã¼½Äº°
![]() |
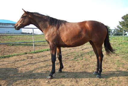
¸¶¹ø | 0019225 | ||
|---|---|---|---|---|
| ¸¶¸í | ȼ®Á¤ | |||
| »ý»ê±¹ | Çѱ¹ | |||
| Ãâ»ýÀÏ | 2005-05-15 | |||
| ¼ºº°/Åлö | ¾Ï / °¥»ö | |||
| Ç÷Åëµî·ÏÀÏ | 2006-08-12 | |||
| »ý»êÀÚ | ±è¿ë·¡ (065012) | |||
| ¼ÒÀ¯ÀÚ | ||||
| ¼ÒÀçÁö | () | |||
| °¡°è | ºÎ¸¶ | ¾ÆÃ³½ÃƼ½½·ç (USA) 1997 | Á¶ºÎ | SLEW CITY SLEW |
| ¸ð¸¶ | ¸¶¸®µå±Û·ç¾Æ¸£ (FR) 1992 | ¿ÜÁ¶ºÎ | LE GLORIEUX | |
| Ư¡ | ¸Ó¸® | À̸¶°¡¸¶Áß,¼Ò¼º | ||
| ¸ñ | Á¿찥±â°¡¸¶,¸ñ¹Ø°¡¸¶ | |||
| ´Ù¸® | Á¿ì¾Õ´Ù¸®°¡¸¶ | |||
| ¸öÅë | ||||
| ±âŸ | ||||
| ³«ÀÎ | ||||
| Ĩ | 00-0668-096E | |||
