

¸»Á¤º¸ > °³º°¸»Á¤º¸Á¶È¸ > °³Ã¼½Äº°
![]() |
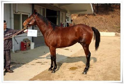
¸¶¹ø | 0019303 | ||
|---|---|---|---|---|
| ¸¶¸í | Ȳ·æ»çÁö | |||
| »ý»ê±¹ | Çѱ¹ | |||
| Ãâ»ýÀÏ | 2005-01-31 | |||
| ¼ºº°/Åлö | ¼ö / °¥»ö | |||
| Ç÷Åëµî·ÏÀÏ | 2006-08-12 | |||
| »ý»êÀÚ | ±èäÇü (065048) | |||
| ¼ÒÀ¯ÀÚ | ||||
| ¼ÒÀçÁö | () | |||
| °¡°è | ºÎ¸¶ | SLEW GIN FIZZ (USA) 1991 | Á¶ºÎ | RELAUNCH |
| ¸ð¸¶ | ¿ÍÀϵå°Ô½º (USA) 2000 | ¿ÜÁ¶ºÎ | WILD RUSH | |
| Ư¡ | ¸Ó¸® | À̸¶°¡¸¶Áß,³À¯¼º,ºñ·®»õÄ¡,´Üºñ·®¼¼¹é,ºñ´ë¹é,»ó¼ø¼Ò¹é | ||
| ¸ñ | Á¿찥±â°¡¸¶,±ä¸ñÁÙ°¡¸¶ | |||
| ´Ù¸® | Á¿ì¾Õ´Ù¸®°¡¸¶ | |||
| ¸öÅë | ||||
| ±âŸ | 00-0665-6F5C | |||
| ³«ÀÎ | ||||
| Ĩ | 410-0900-6001-6640 | |||
