

¸»Á¤º¸ > °³º°¸»Á¤º¸Á¶È¸ > °³Ã¼½Äº°
![]() |
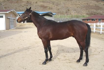
¸¶¹ø | 0019378 | ||
|---|---|---|---|---|
| ¸¶¸í | ¸ÅÁ÷Æ÷½º | |||
| »ý»ê±¹ | Çѱ¹ | |||
| Ãâ»ýÀÏ | 2005-05-10 | |||
| ¼ºº°/Åлö | °Å / °¥»ö | |||
| Ç÷Åëµî·ÏÀÏ | 2006-08-12 | |||
| »ý»êÀÚ | ¹Ú¼¼¿ë (065068) | |||
| ¼ÒÀ¯ÀÚ | ||||
| ¼ÒÀçÁö | () | |||
| °¡°è | ºÎ¸¶ | REAL QUIET (USA) 1995 | Á¶ºÎ | QUIET AMERICAN |
| ¸ð¸¶ | ¾ÆÄ«µ¥¹Ì½ºÀ§Ã÷ (USA) 2000 | ¿ÜÁ¶ºÎ | ROYAL ACADEMY | |
| Ư¡ | ¸Ó¸® | À̸¶°¡¸¶Áß,À̸¶»õÄ¡ | ||
| ¸ñ | Á¿찥±â°¡¸¶ | |||
| ´Ù¸® | ||||
| ¸öÅë | ||||
| ±âŸ | ||||
| ³«ÀÎ | ||||
| Ĩ | 00-0682-C8F8 | |||
