

¸»Á¤º¸ > °³º°¸»Á¤º¸Á¶È¸ > °³Ã¼½Äº°
![]() |
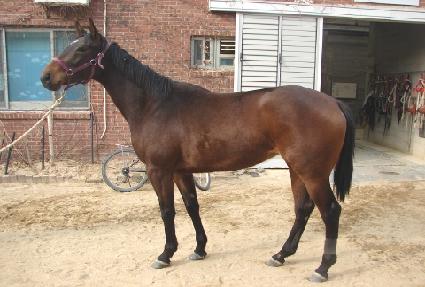
¸¶¹ø | 0019463 | ||
|---|---|---|---|---|
| ¸¶¸í | ³ª´Â¾ÆÀÌ | |||
| »ý»ê±¹ | Çѱ¹ | |||
| Ãâ»ýÀÏ | 2005-10-21 | |||
| ¼ºº°/Åлö | ¾Ï / °¥»ö | |||
| Ç÷Åëµî·ÏÀÏ | 2006-11-10 | |||
| »ý»êÀÚ | ½Å»ó¼· (065147) | |||
| ¼ÒÀ¯ÀÚ | ||||
| ¼ÒÀçÁö | () | |||
| °¡°è | ºÎ¸¶ | TAIMAZOV (ARG) 1996 | Á¶ºÎ | SOUTHERN HALO |
| ¸ð¸¶ | ¹Ì½º¸ð´ÏÄ¿ (AUS) 1997 | ¿ÜÁ¶ºÎ | QUEST FOR FAME | |
| Ư¡ | ¸Ó¸® | À̸¶°¡¸¶Áß,¼º | ||
| ¸ñ | Á¿찥±â°¡¸¶,±ä¸ñÁÙ°¡¸¶ | |||
| ´Ù¸® | Á¿ìµÞ´Ù¸®°¡¸¶,Áµ޴ٸ®»õÄ¡ | |||
| ¸öÅë | ||||
| ±âŸ | ||||
| ³«ÀÎ | ||||
| Ĩ | 00-0682-BA42 | |||
