

¸»Á¤º¸ > °³º°¸»Á¤º¸Á¶È¸ > °³Ã¼½Äº°
![]() |
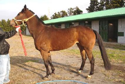
¸¶¹ø | 0019527 | ||
|---|---|---|---|---|
| ¸¶¸í | ¹Ù¶÷Äý | |||
| »ý»ê±¹ | Çѱ¹ | |||
| Ãâ»ýÀÏ | 2005-03-21 | |||
| ¼ºº°/Åлö | ¾Ï / °¥»ö | |||
| Ç÷Åëµî·ÏÀÏ | 2006-08-12 | |||
| »ý»êÀÚ | À±Èï¿ (010373) | |||
| ¼ÒÀ¯ÀÚ | ||||
| ¼ÒÀçÁö | () | |||
| °¡°è | ºÎ¸¶ | µðµð¹Ì (USA) 1990 | Á¶ºÎ | DIXIELAND BAND |
| ¸ð¸¶ | °ÅºÀ (AUS) 1992 | ¿ÜÁ¶ºÎ | REGAL BISCAY | |
| Ư¡ | ¸Ó¸® | À̸¶°¡¸¶»ó,¼Ò°î¼º,ºñ·®»õÄ¡ | ||
| ¸ñ | ±ä¸ñÁÙ°¡¸¶,Á¿ì¸ñÇÔ¸ô | |||
| ´Ù¸® | ÁÂÈĹé,¿ìÈĹé,Á¿ìµÞ´Ù¸®°¡¸¶ | |||
| ¸öÅë | ||||
| ±âŸ | ||||
| ³«ÀÎ | (ÁÂ) y/518 | |||
| Ĩ | 00-0682-F273 | |||
