

¸»Á¤º¸ > °³º°¸»Á¤º¸Á¶È¸ > °³Ã¼½Äº°
![]() |
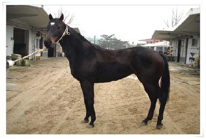
¸¶¹ø | 0019665 | ||
|---|---|---|---|---|
| ¸¶¸í | Èñ¸Á¾ÆÄ§ | |||
| »ý»ê±¹ | Çѱ¹ | |||
| Ãâ»ýÀÏ | 2005-05-19 | |||
| ¼ºº°/Åлö | ¾Ï / °¥»ö | |||
| Ç÷Åëµî·ÏÀÏ | 2006-08-12 | |||
| »ý»êÀÚ | ÀÓ°üÈ£ (010541) | |||
| ¼ÒÀ¯ÀÚ | ||||
| ¼ÒÀçÁö | () | |||
| °¡°è | ºÎ¸¶ | CAPSIZED (USA) 1996 | Á¶ºÎ | SUMMER SQUALL |
| ¸ð¸¶ | ½Å½ÃƼ (USA) 1997 | ¿ÜÁ¶ºÎ | CARSON CITY | |
| Ư¡ | ¸Ó¸® | À̸¶°¡¸¶Áß,¼º | ||
| ¸ñ | ±ä¸ñÁÙ°¡¸¶,Á¸ñ¹Ø°¡¸¶ | |||
| ´Ù¸® | Á¿ì¾Õ´Ù¸®°¡¸¶,Á¿ìµÞ´Ù¸®°¡¸¶ | |||
| ¸öÅë | ||||
| ±âŸ | ||||
| ³«ÀÎ | ||||
| Ĩ | 00-0673-7F26 | |||
