

¸»Á¤º¸ > °³º°¸»Á¤º¸Á¶È¸ > °³Ã¼½Äº°
![]() |
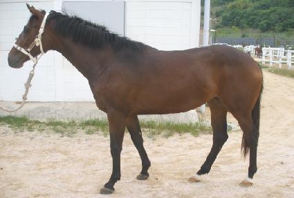
¸¶¹ø | 0019713 | ||
|---|---|---|---|---|
| ¸¶¸í | ÆÄÀÌ³ÎÆÝÄ¡ | |||
| »ý»ê±¹ | Çѱ¹ | |||
| Ãâ»ýÀÏ | 2005-03-26 | |||
| ¼ºº°/Åлö | ¾Ï / °¥»ö | |||
| Ç÷Åëµî·ÏÀÏ | 2006-08-12 | |||
| »ý»êÀÚ | Àå°æÈ¯ (010104) | |||
| ¼ÒÀ¯ÀÚ | Ãß¿¬ÇÑ (216790) | |||
| ¼ÒÀçÁö | ¿îÁÖ»ê½Â¸¶Àå (0F0307) | |||
| °¡°è | ºÎ¸¶ | »þÇÁ¾îÇÊ (USA) 1993 | Á¶ºÎ | WORLD APPEAL |
| ¸ð¸¶ | Çø®ÁîÀ§µåÀÌÁî (AUS) 1995 | ¿ÜÁ¶ºÎ | RANCHO RULER | |
| Ư¡ | ¸Ó¸® | À̸¶°¡¸¶Áß,À¯¼º,ºñ·®¼¼¹é | ||
| ¸ñ | Á°¥±â°¡¸¶,¸ñ¹Ø°¡¸¶ | |||
| ´Ù¸® | ÁÂÈĹé,¿ìÈĹé | |||
| ¸öÅë | ||||
| ±âŸ | ||||
| ³«ÀÎ | ||||
| Ĩ | 00-0667-9ECA | |||
