

¸»Á¤º¸ > °³º°¸»Á¤º¸Á¶È¸ > °³Ã¼½Äº°
![]() |
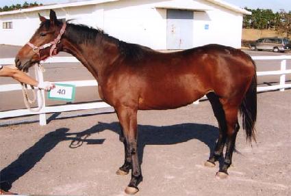
¸¶¹ø | 0019890 | ||
|---|---|---|---|---|
| ¸¶¸í | Ä«ºù | |||
| »ý»ê±¹ | Çѱ¹ | |||
| Ãâ»ýÀÏ | 2005-04-15 | |||
| ¼ºº°/Åлö | ¾Ï / °¥»ö | |||
| Ç÷Åëµî·ÏÀÏ | 2006-08-12 | |||
| »ý»êÀÚ | (ÁÖ)ÄÚ¸®¾ÆÈ£½º·£µå (065134) | |||
| ¼ÒÀ¯ÀÚ | ||||
| ¼ÒÀçÁö | () | |||
| °¡°è | ºÎ¸¶ | ´ÙÀ̽º´í¼ (USA) 1995 | Á¶ºÎ | OGYGIAN |
| ¸ð¸¶ | °¡¼Ó¿Õ (KOR) 1996 | ¿ÜÁ¶ºÎ | ¹«ÀÚÁöÇÁ | |
| Ư¡ | ¸Ó¸® | À̸¶°¡¸¶Áß,À̸¶»õÄ¡ | ||
| ¸ñ | Á¿찥±â°¡¸¶ | |||
| ´Ù¸® | ÁÂÈļҹé | |||
| ¸öÅë | ||||
| ±âŸ | ||||
| ³«ÀÎ | ||||
| Ĩ | 00-0665-A106 | |||
