

¸»Á¤º¸ > °³º°¸»Á¤º¸Á¶È¸ > °³Ã¼½Äº°
![]() |
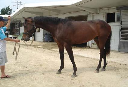
¸¶¹ø | 0020005 | ||
|---|---|---|---|---|
| ¸¶¸í | »ç¿ì½º´Ùºñ | |||
| »ý»ê±¹ | ¹Ì±¹ | |||
| Ãâ»ýÀÏ | 2004-04-16 | |||
| ¼ºº°/Åлö | °Å / °¥»ö | |||
| Ç÷Åëµî·ÏÀÏ | ||||
| »ý»êÀÚ | Wiest-Heathers 04 | |||
| ¼ÒÀ¯ÀÚ | ||||
| ¼ÒÀçÁö | () | |||
| °¡°è | ºÎ¸¶ | TRIPPI (USA) 1997 | Á¶ºÎ | END SWEEP |
| ¸ð¸¶ | SNAKES HEATHER (USA) 1997 | ¿ÜÁ¶ºÎ | MONTBROOK | |
| Ư¡ | ¸Ó¸® | À̸¶°¡¸¶»ó | ||
| ¸ñ | ¿ì°¥±â°¡¸¶ | |||
| ´Ù¸® | ÁÂÈĹݹé | |||
| ¸öÅë | ¿ì°¡½¿°¡¸¶ | |||
| ±âŸ | ||||
| ³«ÀÎ | ||||
| Ĩ | 410-0978-0000-5988 | |||
