

¸»Á¤º¸ > °³º°¸»Á¤º¸Á¶È¸ > °³Ã¼½Äº°
![]() |
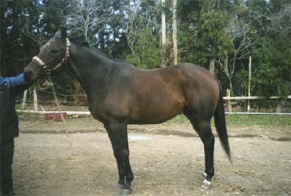
¸¶¹ø | 0020349 | ||
|---|---|---|---|---|
| ¸¶¸í | Äð¸µÅ© | |||
| »ý»ê±¹ | ¹Ì±¹ | |||
| Ãâ»ýÀÏ | 1999-05-21 | |||
| ¼ºº°/Åлö | ¾Ï / °¥»ö | |||
| Ç÷Åëµî·ÏÀÏ | ||||
| »ý»êÀÚ | Himyar Stallions Management | |||
| ¼ÒÀ¯ÀÚ | ||||
| ¼ÒÀçÁö | () | |||
| °¡°è | ºÎ¸¶ | MR. GREELEY (USA) 1992 | Á¶ºÎ | GONE WEST |
| ¸ð¸¶ | EXCEEDINGLY BOLD (USA) 1977 | ¿ÜÁ¶ºÎ | EXCEEDINGLY | |
| Ư¡ | ¸Ó¸® | À̸¶°¡¸¶»ó,À̸¶»õÄ¡ | ||
| ¸ñ | ¿ì°¥±â°¡¸¶ | |||
| ´Ù¸® | ÁÂÈĹé,¿ìÈĹݹé | |||
| ¸öÅë | ||||
| ±âŸ | ||||
| ³«ÀÎ | (ÀÔ¼ú¹®½Å) C27625 | |||
| Ĩ | 410-0978-0005-0666 | |||
