

¸»Á¤º¸ > °³º°¸»Á¤º¸Á¶È¸ > °³Ã¼½Äº°
![]() |
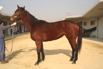
¸¶¹ø | 0020419 | ||
|---|---|---|---|---|
| ¸¶¸í | Áö´Ï½ºµô¶óÀÌÆ® | |||
| »ý»ê±¹ | ¹Ì±¹ | |||
| Ãâ»ýÀÏ | 2004-03-29 | |||
| ¼ºº°/Åлö | ¾Ï / °¥»ö | |||
| Ç÷Åëµî·ÏÀÏ | ||||
| »ý»êÀÚ | Kaygar Stables | |||
| ¼ÒÀ¯ÀÚ | ||||
| ¼ÒÀçÁö | () | |||
| °¡°è | ºÎ¸¶ | POLISH MINER (USA) 1997 | Á¶ºÎ | DANZIG |
| ¸ð¸¶ | Æú¸®Æ¼ÄÃºí·¯ÇÁ (USA) 1997 | ¿ÜÁ¶ºÎ | UNACCOUNTED FOR | |
| Ư¡ | ¸Ó¸® | À̸¶°¡¸¶Áß,À̸¶»õÄ¡ | ||
| ¸ñ | ¿ì°¥±â°¡¸¶, ±ä¸ñÁÙ°¡¸¶ | |||
| ´Ù¸® | ¿ì¾Õ´Ù¸®°¡¸¶ | |||
| ¸öÅë | ||||
| ±âŸ | ||||
| ³«ÀÎ | ||||
| Ĩ | 410-0978-0002-9115 | |||
