

¸»Á¤º¸ > °³º°¸»Á¤º¸Á¶È¸ > °³Ã¼½Äº°
![]() |
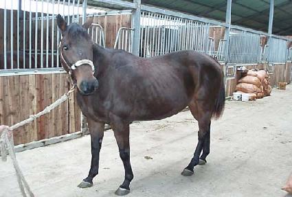
¸¶¹ø | 0021727 | ||
|---|---|---|---|---|
| ¸¶¸í | Ä«½¼ÁîĹ | |||
| »ý»ê±¹ | ¹Ì±¹ | |||
| Ãâ»ýÀÏ | 2000-04-02 | |||
| ¼ºº°/Åлö | ¾Ï / Èæ°¥»ö | |||
| Ç÷Åëµî·ÏÀÏ | ||||
| »ý»êÀÚ | Donald G. McClinton | |||
| ¼ÒÀ¯ÀÚ | ||||
| ¼ÒÀçÁö | () | |||
| °¡°è | ºÎ¸¶ | MOUNTAIN CAT (USA) 1990 | Á¶ºÎ | STORM CAT |
| ¸ð¸¶ | CARSON KITTY (USA) 1992 | ¿ÜÁ¶ºÎ | CARSON CITY | |
| Ư¡ | ¸Ó¸® | À̸¶°¡¸¶Áß | ||
| ¸ñ | ¸ñ¹Ø°¡¸¶, ÇÔ¸ô | |||
| ´Ù¸® | ||||
| ¸öÅë | ||||
| ±âŸ | ||||
| ³«ÀÎ | (ÀÔ¼ú¹®½Å) D42402 | |||
| Ĩ | 410-0978-0005-1968 | |||
