

¸»Á¤º¸ > °³º°¸»Á¤º¸Á¶È¸ > °³Ã¼½Äº°
![]() |
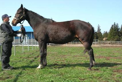
¸¶¹ø | 0021738 | ||
|---|---|---|---|---|
| ¸¶¸í | ¶ó·ç³ªµ¥¿À·Î | |||
| »ý»ê±¹ | ¹Ì±¹ | |||
| Ãâ»ýÀÏ | 2001-04-27 | |||
| ¼ºº°/Åлö | ¾Ï / °¥»ö | |||
| Ç÷Åëµî·ÏÀÏ | ||||
| »ý»êÀÚ | Wimborne Farm, Inc | |||
| ¼ÒÀ¯ÀÚ | ||||
| ¼ÒÀçÁö | () | |||
| °¡°è | ºÎ¸¶ | GLITTERMAN (USA) 1985 | Á¶ºÎ | DEWAN |
| ¸ð¸¶ | MA GUERRE (USA) 1990 | ¿ÜÁ¶ºÎ | LORD AT WAR | |
| Ư¡ | ¸Ó¸® | À̸¶°¡¸¶»ó,´ëÀ¯¼º,ºñ·®¼¼¹é,ºñ¹é | ||
| ¸ñ | ¿ì°¥±â°¡¸¶,¸ñ¹Ø°¡¸¶,¸ñÁÙ°¡¸¶ | |||
| ´Ù¸® | ÁÂÀü¹é,¿ìÈĹé | |||
| ¸öÅë | ||||
| ±âŸ | ||||
| ³«ÀÎ | (ÀÔ¼ú¹®½Å) E24502 | |||
| Ĩ | ||||
