

¸»Á¤º¸ > °³º°¸»Á¤º¸Á¶È¸ > °³Ã¼½Äº°
![]() |
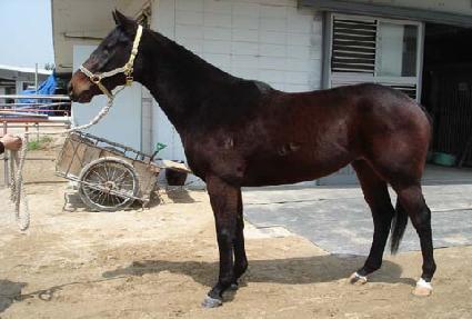
¸¶¹ø | 0021756 | ||
|---|---|---|---|---|
| ¸¶¸í | ÅäºÏÅ· | |||
| »ý»ê±¹ | È£ÁÖ | |||
| Ãâ»ýÀÏ | 2004-10-16 | |||
| ¼ºº°/Åлö | °Å / Èæ°¥»ö | |||
| Ç÷Åëµî·ÏÀÏ | ||||
| »ý»êÀÚ | Best Western Group Pty Ltd | |||
| ¼ÒÀ¯ÀÚ | ||||
| ¼ÒÀçÁö | () | |||
| °¡°è | ºÎ¸¶ | TOBOUGG (IRE) 1998 | Á¶ºÎ | BARATHEA |
| ¸ð¸¶ | FARTHING (NZ) 1998 | ¿ÜÁ¶ºÎ | HOUSEBUSTER | |
| Ư¡ | ¸Ó¸® | À̸¶°¡¸¶Áß,¼Ò¼º | ||
| ¸ñ | ±ä¸ñÁÙ°¡¸¶,¿ì°¥±â°¡¸¶ | |||
| ´Ù¸® | ¿ìÈĹݹé,ÁÂÈĹé | |||
| ¸öÅë | ||||
| ±âŸ | ||||
| ³«ÀÎ | (ÁÂ) L¾È¿¡B (¿ì) 27/4 | |||
| Ĩ | 985-1000-1081-8219 | |||
