

¸»Á¤º¸ > °³º°¸»Á¤º¸Á¶È¸ > °³Ã¼½Äº°
![]() |
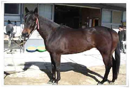
¸¶¹ø | 0021856 | ||
|---|---|---|---|---|
| ¸¶¸í | ·è¾Ü¹Ì±Â | |||
| »ý»ê±¹ | ¹Ì±¹ | |||
| Ãâ»ýÀÏ | 2005-01-22 | |||
| ¼ºº°/Åлö | ¾Ï / Èæ°¥»ö | |||
| Ç÷Åëµî·ÏÀÏ | ||||
| »ý»êÀÚ | Norman Casse | |||
| ¼ÒÀ¯ÀÚ | ||||
| ¼ÒÀçÁö | () | |||
| °¡°è | ºÎ¸¶ | YONAGUSKA (USA) 1998 | Á¶ºÎ | CHEROKEE RUN |
| ¸ð¸¶ | EXPECTED TEMPER (USA) 1999 | ¿ÜÁ¶ºÎ | VALID EXPECTATIONS | |
| Ư¡ | ¸Ó¸® | À̸¶°¡¸¶2(°¡·Î), À̸¶»õÄ¡ | ||
| ¸ñ | ¿ì°¥±â°¡¸¶2,¸ñÁÙ°¡¸¶,Á¸ñÇÔ¸ô | |||
| ´Ù¸® | ÁÂÈĹݹé,¿ìÈĹݹé | |||
| ¸öÅë | ||||
| ±âŸ | ||||
| ³«ÀÎ | ||||
| Ĩ | 410-0978-0002-2171 | |||
