

¸»Á¤º¸ > °³º°¸»Á¤º¸Á¶È¸ > °³Ã¼½Äº°
![]() |
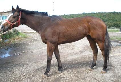
¸¶¹ø | 0021908 | ||
|---|---|---|---|---|
| ¸¶¸í | ·¯ºê½ºÄý | |||
| »ý»ê±¹ | ¹Ì±¹ | |||
| Ãâ»ýÀÏ | 2005-05-10 | |||
| ¼ºº°/Åлö | ¾Ï / °¥»ö | |||
| Ç÷Åëµî·ÏÀÏ | ||||
| »ý»êÀÚ | Nelson Bunker Hunt | |||
| ¼ÒÀ¯ÀÚ | ||||
| ¼ÒÀçÁö | () | |||
| °¡°è | ºÎ¸¶ | VALID EXPECTATIONS (USA) 1993 | Á¶ºÎ | VALID APPEAL |
| ¸ð¸¶ | LOVERS CLASS (CAN) 1995 | ¿ÜÁ¶ºÎ | REGAL CLASSIC | |
| Ư¡ | ¸Ó¸® | À̸¶°¡¸¶Áß,´ëÀ¯¼º,ºñ·®´ë¹é,ºñ·®¼¼¹é,ºñ¹é | ||
| ¸ñ | Á¿찥±â°¡¸¶,¸ñÁÙ°¡¸¶ | |||
| ´Ù¸® | ÁÂÈļҹé,¿ìµÞ´Ù¸®°¡¸¶ | |||
| ¸öÅë | ¿ì¿·±¸¸®°¡¸¶ | |||
| ±âŸ | ||||
| ³«ÀÎ | ||||
| Ĩ | 410-0978-0002-2727 | |||
