

¸»Á¤º¸ > °³º°¸»Á¤º¸Á¶È¸ > °³Ã¼½Äº°
![]() |
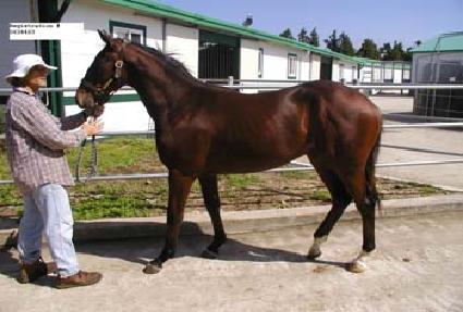
¸¶¹ø | 0022005 | ||
|---|---|---|---|---|
| ¸¶¸í | ¾ßȣƼ¿¡½º | |||
| »ý»ê±¹ | ¹Ì±¹ | |||
| Ãâ»ýÀÏ | 2006-05-04 | |||
| ¼ºº°/Åлö | ¼ö / °¥»ö | |||
| Ç÷Åëµî·ÏÀÏ | ||||
| »ý»êÀÚ | Mr.&Mrs.Joel M. Carino | |||
| ¼ÒÀ¯ÀÚ | ||||
| ¼ÒÀçÁö | () | |||
| °¡°è | ºÎ¸¶ | ROAR OF THE TIGER (USA) 1999 | Á¶ºÎ | STORM CAT |
| ¸ð¸¶ | PROPELLER (USA) 1999 | ¿ÜÁ¶ºÎ | LEAR FAN | |
| Ư¡ | ¸Ó¸® | À̸¶°¡¸¶»ó,°îÀ¯¼º, | ||
| ¸ñ | Á¿찥±â°¡¸¶ | |||
| ´Ù¸® | Á¿ìÈĹé | |||
| ¸öÅë | ||||
| ±âŸ | ||||
| ³«ÀÎ | ||||
| Ĩ | 410-0978-0001-2400 | |||
