

¸»Á¤º¸ > °³º°¸»Á¤º¸Á¶È¸ > °³Ã¼½Äº°
![]() |
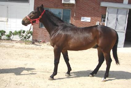
¸¶¹ø | 0022281 | ||
|---|---|---|---|---|
| ¸¶¸í | ¸Ó´Ï¹Ú½º | |||
| »ý»ê±¹ | Çѱ¹ | |||
| Ãâ»ýÀÏ | 2007-02-15 | |||
| ¼ºº°/Åлö | ¼ö / °¥»ö | |||
| Ç÷Åëµî·ÏÀÏ | 2008-08-22 | |||
| »ý»êÀÚ | °È«¼ö (010424) | |||
| ¼ÒÀ¯ÀÚ | ||||
| ¼ÒÀçÁö | () | |||
| °¡°è | ºÎ¸¶ | ¼Ò¼ÈÂ÷ÅÍ (USA) 1995 | Á¶ºÎ | NUREYEV |
| ¸ð¸¶ | ¾Æ¾¾¿¡¶ó (USA) 1992 | ¿ÜÁ¶ºÎ | CUTLASS | |
| Ư¡ | ¸Ó¸® | À̸¶°¡¸¶Áß,À¯¼º,ºñ¼Ò¹é | ||
| ¸ñ | ¸ñ¹Ø°¡¸¶,¸ñÁÙ°¡¸¶ | |||
| ´Ù¸® | ÁÂÈĹé | |||
| ¸öÅë | ||||
| ±âŸ | ||||
| ³«ÀÎ | ||||
| Ĩ | 410-0978-0002-6363 | |||
