

¸»Á¤º¸ > °³º°¸»Á¤º¸Á¶È¸ > °³Ã¼½Äº°
![]() |
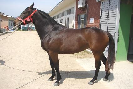
¸¶¹ø | 0023123 | ||
|---|---|---|---|---|
| ¸¶¸í | ´Þ¸±¸®¾Æ | |||
| »ý»ê±¹ | Çѱ¹ | |||
| Ãâ»ýÀÏ | 2007-03-05 | |||
| ¼ºº°/Åлö | ¾Ï / °¥»ö | |||
| Ç÷Åëµî·ÏÀÏ | 2008-08-22 | |||
| »ý»êÀÚ | ÀåÀç¿ø (065132) | |||
| ¼ÒÀ¯ÀÚ | ||||
| ¼ÒÀçÁö | () | |||
| °¡°è | ºÎ¸¶ | ijÇÇÅнºÆÒµù (USA) 2000 | Á¶ºÎ | A.P. INDY |
| ¸ð¸¶ | ½ºÅܸ° (NZ) 1995 | ¿ÜÁ¶ºÎ | LE BELVEDERE | |
| Ư¡ | ¸Ó¸® | À̸¶°¡¸¶»ó, °î¼Ò¼º | ||
| ¸ñ | Á¿찥±â°¡¸¶ | |||
| ´Ù¸® | Á¿ìµÞ´Ù¸®°¡¸¶ | |||
| ¸öÅë | ||||
| ±âŸ | ||||
| ³«ÀÎ | ||||
| Ĩ | 410-0978-0002-0955 | |||
