

¸»Á¤º¸ > °³º°¸»Á¤º¸Á¶È¸ > °³Ã¼½Äº°
![]() |
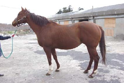
¸¶¹ø | 0023446 | ||
|---|---|---|---|---|
| ¸¶¸í | ·Ñ¸µ¼±´õ | |||
| »ý»ê±¹ | È£ÁÖ | |||
| Ãâ»ýÀÏ | 1998-09-27 | |||
| ¼ºº°/Åлö | ¾Ï / ¹ã»ö | |||
| Ç÷Åëµî·ÏÀÏ | ||||
| »ý»êÀÚ | Davilora Lodge | |||
| ¼ÒÀ¯ÀÚ | ||||
| ¼ÒÀçÁö | () | |||
| °¡°è | ºÎ¸¶ | THUNDER GULCH (USA) 1992 | Á¶ºÎ | GULCH |
| ¸ð¸¶ | RED CHIFFON (AUS) 1984 | ¿ÜÁ¶ºÎ | SOVEREIGN RED | |
| Ư¡ | ¸Ó¸® | À̸¶°¡¸¶2(°¡·Î),³¼º,ºñ¼Ò¹é | ||
| ¸ñ | Á¿찥±â°¡¸¶,¸ñ¹Ø°¡¸¶,¿ì¸ñÁÙ°¡¸¶ | |||
| ´Ù¸® | ¿ìÀü¹é,ÁÂÀüÀå¹é,ÁÂÈĹé | |||
| ¸öÅë | ||||
| ±âŸ | ||||
| ³«ÀÎ | (ÁÂ) D ¾È¿¡ L (¿ì) 9/8 | |||
| Ĩ | ||||
