

¸»Á¤º¸ > °³º°¸»Á¤º¸Á¶È¸ > °³Ã¼½Äº°
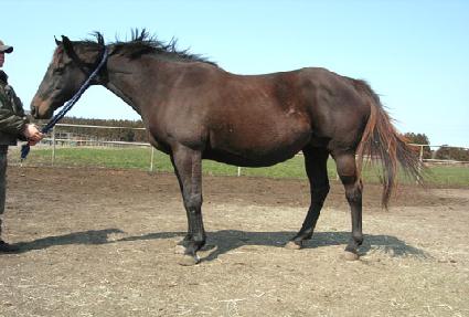
![]() |
¸¶¹ø | 0023497 | ||
|---|---|---|---|---|
| ¸¶¸í | ¿ÍÀϵåĹ½ºÆ®¶óÀÌÅ© | |||
| »ý»ê±¹ | ¹Ì±¹ | |||
| Ãâ»ýÀÏ | 1998-01-26 | |||
| ¼ºº°/Åлö | ¾Ï / °¥»ö | |||
| Ç÷Åëµî·ÏÀÏ | ||||
| »ý»êÀÚ | TAC Holdings, Inc. | |||
| ¼ÒÀ¯ÀÚ | ||||
| ¼ÒÀçÁö | () | |||
| °¡°è | ºÎ¸¶ | WILD AGAIN (USA) 1980 | Á¶ºÎ | ICECAPADE |
| ¸ð¸¶ | MACKENZIE SLEW (USA) 1992 | ¿ÜÁ¶ºÎ | SEATTLE SLEW | |
| Ư¡ | ¸Ó¸® | À̸¶°¡¸¶»ó,¼ÒÀ¯¼º,´Üºñ¹é | ||
| ¸ñ | ¿ì°¥±â°¡¸¶,¸ñ¹Ø°¡¸¶ | |||
| ´Ù¸® | ÁÂÀü¹Ý¹é | |||
| ¸öÅë | ||||
| ±âŸ | ||||
| ³«ÀÎ | (±âŸ) ÀÔ¼ú¹®½Å(B03707) | |||
| Ĩ | 410-0978-0004-9369 | |||
