

¸»Á¤º¸ > °³º°¸»Á¤º¸Á¶È¸ > °³Ã¼½Äº°
![]() |
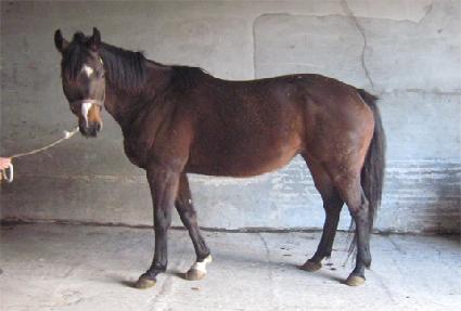
¸¶¹ø | 0023900 | ||
|---|---|---|---|---|
| ¸¶¸í | ĵ¹ö¶ó | |||
| »ý»ê±¹ | ¹Ì±¹ | |||
| Ãâ»ýÀÏ | 1994-05-26 | |||
| ¼ºº°/Åлö | ¾Ï / °¥»ö | |||
| Ç÷Åëµî·ÏÀÏ | ||||
| »ý»êÀÚ | James B. Tafel | |||
| ¼ÒÀ¯ÀÚ | ||||
| ¼ÒÀçÁö | () | |||
| °¡°è | ºÎ¸¶ | SILVER HAWK (USA) 1979 | Á¶ºÎ | ROBERTO |
| ¸ð¸¶ | WHITE JASMINE (USA) 1977 | ¿ÜÁ¶ºÎ | WHITESBURG | |
| Ư¡ | ¸Ó¸® | À̸¶°¡¸¶Áß,³À¯¼º,´Üºñ·®¹é,ºñ¼Ò¹é | ||
| ¸ñ | Á¿찥±â°¡¸¶,¸ñÁÙ°¡¸¶ | |||
| ´Ù¸® | ¿ìÀü¹é | |||
| ¸öÅë | ||||
| ±âŸ | ||||
| ³«ÀÎ | (±âŸ) ÀÔ¼ú(X07819) | |||
| Ĩ | 410-0978-0002-1944 | |||
