

¸»Á¤º¸ > °³º°¸»Á¤º¸Á¶È¸ > °³Ã¼½Äº°
![]() |
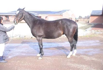
¸¶¹ø | 0024043 | ||
|---|---|---|---|---|
| ¸¶¸í | ·ÎÀÚ°ÉÄ¡ | |||
| »ý»ê±¹ | ¹Ì±¹ | |||
| Ãâ»ýÀÏ | 2004-05-16 | |||
| ¼ºº°/Åлö | ¾Ï / Èæ°¥»ö | |||
| Ç÷Åëµî·ÏÀÏ | ||||
| »ý»êÀÚ | Mike G. Rutherford | |||
| ¼ÒÀ¯ÀÚ | ÁøÀÎ¾Æ (214513) | |||
| ¼ÒÀçÁö | õÁö¸ñÀå (0F1780) | |||
| °¡°è | ºÎ¸¶ | THUNDER GULCH (USA) 1992 | Á¶ºÎ | GULCH |
| ¸ð¸¶ | LA ROSA (USA) 1993 | ¿ÜÁ¶ºÎ | WILD AGAIN | |
| Ư¡ | ¸Ó¸® | À̸¶°¡¸¶Áß,À¯¼º,ºñ·®¼¼¹é,´Üºñ·®¼¼¹é,ºñ¹é,»ó¼ø¹é | ||
| ¸ñ | Á¿찥±â°¡¸¶ | |||
| ´Ù¸® | ¿ìÀü¹é,Á¿ìÈÄÀå¹é | |||
| ¸öÅë | ||||
| ±âŸ | ||||
| ³«ÀÎ | ||||
| Ĩ | 410-0978-0001-2533 | |||
