

¸»Á¤º¸ > °³º°¸»Á¤º¸Á¶È¸ > °³Ã¼½Äº°
![]() |
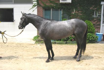
¸¶¹ø | 0025513 | ||
|---|---|---|---|---|
| ¸¶¸í | ¾ÆÄ§ÀÇÁ¤±â | |||
| »ý»ê±¹ | ¹Ì±¹ | |||
| Ãâ»ýÀÏ | 2007-03-12 | |||
| ¼ºº°/Åлö | °Å / ȸ»ö | |||
| Ç÷Åëµî·ÏÀÏ | ||||
| »ý»êÀÚ | Alan Porter | |||
| ¼ÒÀ¯ÀÚ | ||||
| ¼ÒÀçÁö | () | |||
| °¡°è | ºÎ¸¶ | CONSOLIDATOR (USA) 2002 | Á¶ºÎ | STORM CAT |
| ¸ð¸¶ | KYLEY'S MOON (USA) 1995 | ¿ÜÁ¶ºÎ | ALASKAN FROST | |
| Ư¡ | ¸Ó¸® | À̸¶°¡¸¶»ó | ||
| ¸ñ | ¸ñÁÙ°¡¸¶,¸ñ¹Ø°¡¸¶,Á¿찥±â°¡¸¶ | |||
| ´Ù¸® | ÁÂÈļҹé | |||
| ¸öÅë | ||||
| ±âŸ | ||||
| ³«ÀÎ | ||||
| Ĩ | 410-0978-0002-6078 | |||
