

¸»Á¤º¸ > °³º°¸»Á¤º¸Á¶È¸ > °³Ã¼½Äº°
![]() |
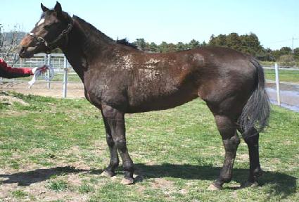
¸¶¹ø | 0025609 | ||
|---|---|---|---|---|
| ¸¶¸í | Èæ»ó¾î | |||
| »ý»ê±¹ | È£ÁÖ | |||
| Ãâ»ýÀÏ | 2007-10-09 | |||
| ¼ºº°/Åлö | ¾Ï / °¥»ö | |||
| Ç÷Åëµî·ÏÀÏ | ||||
| »ý»êÀÚ | Mockingbird Hill | |||
| ¼ÒÀ¯ÀÚ | ||||
| ¼ÒÀçÁö | () | |||
| °¡°è | ºÎ¸¶ | STREET CRY (IRE) 1998 | Á¶ºÎ | MACHIAVELLIAN |
| ¸ð¸¶ | PUNSTER (NZ) 1985 | ¿ÜÁ¶ºÎ | HARBOR PRINCE | |
| Ư¡ | ¸Ó¸® | À̸¶°¡¸¶»ó,À¯¼º,ÁÂ°í·¡´« | ||
| ¸ñ | ¿ì°¥±â°¡¸¶ | |||
| ´Ù¸® | Áµ޴ٸ®°¡¸¶ | |||
| ¸öÅë | ||||
| ±âŸ | ||||
| ³«ÀÎ | (ÁÂ) 2DA (¿ì) 2/7 | |||
| Ĩ | 985-1000-1092-3016 | |||
