

¸»Á¤º¸ > °³º°¸»Á¤º¸Á¶È¸ > °³Ã¼½Äº°
![]() |
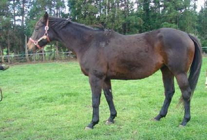
¸¶¹ø | 0025671 | ||
|---|---|---|---|---|
| ¸¶¸í | ³ëÄÚ¸àÆ® | |||
| »ý»ê±¹ | ¹Ì±¹ | |||
| Ãâ»ýÀÏ | 2003-02-25 | |||
| ¼ºº°/Åлö | ¾Ï / °¥»ö | |||
| Ç÷Åëµî·ÏÀÏ | ||||
| »ý»êÀÚ | Donald R. Dizney | |||
| ¼ÒÀ¯ÀÚ | ||||
| ¼ÒÀçÁö | () | |||
| °¡°è | ºÎ¸¶ | CAPOTE (USA) 1984 | Á¶ºÎ | SEATTLE SLEW |
| ¸ð¸¶ | ISLEWORTH (USA) 1994 | ¿ÜÁ¶ºÎ | MT. LIVERMORE | |
| Ư¡ | ¸Ó¸® | À̸¶°¡¸¶2(»ç¼±) | ||
| ¸ñ | ||||
| ´Ù¸® | Áµ޴ٸ®°¡¸¶ | |||
| ¸öÅë | ||||
| ±âŸ | ||||
| ³«ÀÎ | (±âŸ) ÀÔ¼ú¹®½Å G06336 | |||
| Ĩ | 410-0900-6001-5897 | |||
