

¸»Á¤º¸ > °³º°¸»Á¤º¸Á¶È¸ > °³Ã¼½Äº°
![]() |
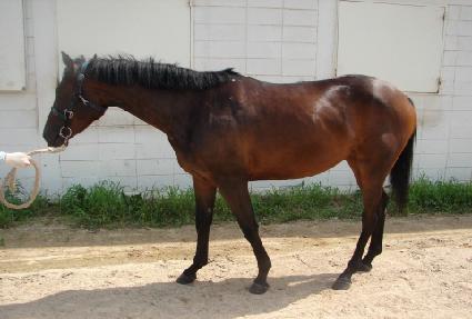
¸¶¹ø | 0026169 | ||
|---|---|---|---|---|
| ¸¶¸í | ±Ýºû¿Ã·¹ | |||
| »ý»ê±¹ | Çѱ¹ | |||
| Ãâ»ýÀÏ | 2009-02-19 | |||
| ¼ºº°/Åлö | ¾Ï / °¥»ö | |||
| Ç÷Åëµî·ÏÀÏ | 2010-07-28 | |||
| »ý»êÀÚ | ±è°æÅ (065063) | |||
| ¼ÒÀ¯ÀÚ | ||||
| ¼ÒÀçÁö | () | |||
| °¡°è | ºÎ¸¶ | ¸®ºñ¾î (IRE) 1990 | Á¶ºÎ | DANCING BRAVE |
| ¸ð¸¶ | È·ÁÇÑÃàÁ¦ (KOR) 2001 | ¿ÜÁ¶ºÎ | ºò¼ | |
| Ư¡ | ¸Ó¸® | À̸¶°¡¸¶2(»ç¼±),À̸¶»õÄ¡ | ||
| ¸ñ | ¸ñ¹Ø°¡¸¶,¿ì¸ñ¹Ø°¡¸¶,±ä¸ñÁÙ°¡¸¶ | |||
| ´Ù¸® | Á¿ì¾Õ´Ù¸®°¡¸¶,¿ìµÞ´Ù¸®°¡¸¶ | |||
| ¸öÅë | ||||
| ±âŸ | ||||
| ³«ÀÎ | ||||
| Ĩ | 410-0900-6001-9127 | |||
