

¸»Á¤º¸ > °³º°¸»Á¤º¸Á¶È¸ > °³Ã¼½Äº°
![]() |
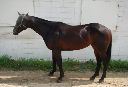
¸¶¹ø | 0026822 | ||
|---|---|---|---|---|
| ¸¶¸í | ¿ø´õÇ®³²ÇØ | |||
| »ý»ê±¹ | Çѱ¹ | |||
| Ãâ»ýÀÏ | 2009-04-15 | |||
| ¼ºº°/Åлö | ¼ö / °¥»ö | |||
| Ç÷Åëµî·ÏÀÏ | 2010-07-28 | |||
| »ý»êÀÚ | ÀÓ»óÀ± (065025) | |||
| ¼ÒÀ¯ÀÚ | ||||
| ¼ÒÀçÁö | () | |||
| °¡°è | ºÎ¸¶ | ºñÄ« (USA) 1996 | Á¶ºÎ | WILD AGAIN |
| ¸ð¸¶ | ¸ÞÀÍ´ñÄÝ (IRE) 1991 | ¿ÜÁ¶ºÎ | GLOW | |
| Ư¡ | ¸Ó¸® | À̸¶°¡¸¶Áß,¼Ò¼º | ||
| ¸ñ | ¿ì°¥±â°¡¸¶,¸ñÁÙ°¡¸¶,Á¸ñ¹Ø°¡¸¶,¸ñ¹Ø°¡¸¶ | |||
| ´Ù¸® | Á¿ì¾Õ´Ù¸®°¡¸¶ | |||
| ¸öÅë | ||||
| ±âŸ | ||||
| ³«ÀÎ | ||||
| Ĩ | 410-0900-6001-8770 | |||
