

¸»Á¤º¸ > °³º°¸»Á¤º¸Á¶È¸ > °³Ã¼½Äº°
![]() |
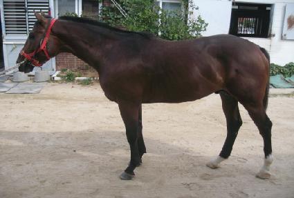
¸¶¹ø | 0027568 | ||
|---|---|---|---|---|
| ¸¶¸í | Ä¡¸¶Ãµ¸® | |||
| »ý»ê±¹ | Çѱ¹ | |||
| Ãâ»ýÀÏ | 2010-02-27 | |||
| ¼ºº°/Åлö | ¼ö / °¥»ö | |||
| Ç÷Åëµî·ÏÀÏ | 2011-07-24 | |||
| »ý»êÀÚ | (ÁÖ)³ÐÀº (065098) | |||
| ¼ÒÀ¯ÀÚ | ||||
| ¼ÒÀçÁö | () | |||
| °¡°è | ºÎ¸¶ | µ¿¼´ë·Î (JPN) 2002 | Á¶ºÎ | DEHERE |
| ¸ð¸¶ | °¨È·Â (USA) 2002 | ¿ÜÁ¶ºÎ | DOWN THE AISLE | |
| Ư¡ | ¸Ó¸® | À̸¶°¡¸¶»ó,À¯¼º,ºñ·®¼¼¹é,´Üºñ¹é,Çϼø¼Ò¹é | ||
| ¸ñ | ±ä¸ñÁÙ°¡¸¶,¸ñ¹Ø°¡¸¶ | |||
| ´Ù¸® | ÁÂÈĹé,¿ìÈĹé,Á¿ì¾Õ´Ù¸®°¡¸¶ | |||
| ¸öÅë | ||||
| ±âŸ | ||||
| ³«ÀÎ | ||||
| Ĩ | 410-0900-6001-8779 | |||
