

¸»Á¤º¸ > °³º°¸»Á¤º¸Á¶È¸ > °³Ã¼½Äº°
![]() |
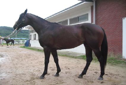
¸¶¹ø | 0027766 | ||
|---|---|---|---|---|
| ¸¶¸í | µ¶»õ | |||
| »ý»ê±¹ | Çѱ¹ | |||
| Ãâ»ýÀÏ | 2010-03-08 | |||
| ¼ºº°/Åлö | ¼ö / °¥»ö | |||
| Ç÷Åëµî·ÏÀÏ | 2011-07-24 | |||
| »ý»êÀÚ | °È«¼ö (010424) | |||
| ¼ÒÀ¯ÀÚ | ||||
| ¼ÒÀçÁö | () | |||
| °¡°è | ºÎ¸¶ | ÇÇÄÚ¼¾Æ®·² (BRZ) 1999 | Á¶ºÎ | SPEND A BUCK |
| ¸ð¸¶ | ±Û·Î¸®¾î½ºµ· (USA) 2003 | ¿ÜÁ¶ºÎ | ELUSIVE QUALITY | |
| Ư¡ | ¸Ó¸® | À̸¶°¡¸¶Áß | ||
| ¸ñ | Á¿찥±â°¡¸¶ | |||
| ´Ù¸® | ¿ì¾Õ´Ù¸®°¡¸¶ | |||
| ¸öÅë | ||||
| ±âŸ | ||||
| ³«ÀÎ | ||||
| Ĩ | 410-0900-6001-7350 | |||
